






















Rice
492 Hwy 93/95
Invermere, BC
Canada V0A 1K2

Details
Address | Lot 2 Fairmont Resort Road |
Area | Kootenay |
Sub Area | INRU - Fairmont/Columbia Lake |
City | Fairmont Hot Springs |
State/Province | British Columbia |
Country | Canada |
Price | $149,000 |
Property Type | Residential Lot |
Lot Size | 0.28 Acres |
Waterfront | No |
Taxes | $0 |
Tax Year | 2025 |
MLS® # | 10359962 |
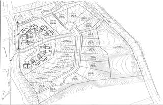
Welcome to Highland Woods, an exclusive new subdivision in the heart of Fairmont Hot Springs. This exciting development features 21 residential fee simple lots, each over a quarter acre in size, offering ample space to design and build your dream home. Every lot is positioned to capture breathtaking mountain and valley views, while being only minutes away by foot or a short drive from all that Fairmont has to offer, including the world-famous Fairmont Hot Springs, multiple championship golf courses, and an abundance of hiking and biking trails. The Developer will be installing water, electrical, and sanitary sewer services to the lot lines, with road and service completion anticipated by summer 2026. Each owner will be responsible for their own home construction in accordance with the building scheme and design guidelines, ensuring a high-quality and cohesive community feel with the potential to buy a lot and build packages. Unlike traditional strata developments, Highland Woods offers freehold ownership. There are no monthly strata fees; instead, a shared maintenance society will manage the common access road, green space, and pathways, funded by modest annual contributions from owners. Water and sewer services will be billed directly by local utility providers. Whether you’re seeking a year-round residence, a vacation retreat, or an investment in one of BC’s most desirable destinations, Highland Woods provides the perfect balance of space, privacy, and convenience.